La gestion des absences et des remplacements est essentielle pour maintenir le bon fonctionnement des équipes et assurer une continuité dans les tâches quotidiennes. Pouvoir signaler rapidement une absence ou demander un remplacement facilite non seulement l'organisation interne, mais garantit également que les responsabilités soient prises en charge sans interruption.
Faire une demande de remplacement |
Si vous souhaitez vous absenter et être remplacé, suivez ces étapes :
- Accédez au module Absences et cliquez sur Nouvelle absence;
- Remplissez le formulaire et cliquez sur Continuer pour accéder à la section de demande de remplacement;
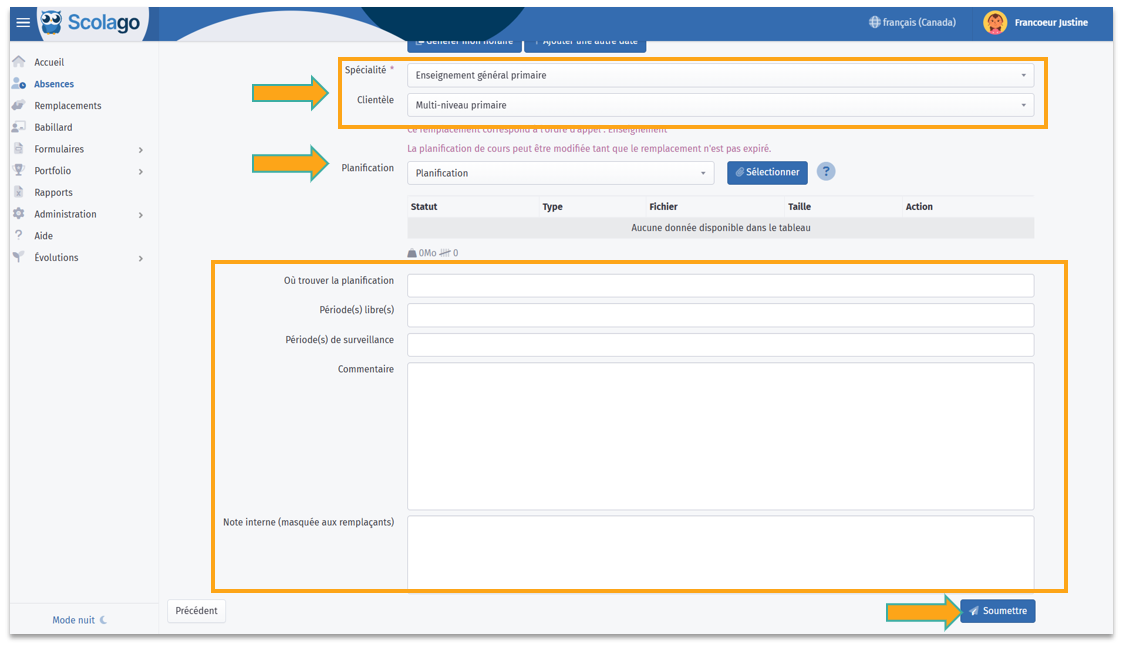
- Une fois dans la section remplacement, cliquez sur Générer mon horaire;
- Si votre horaire employé est configuré, vos périodes s’afficheront automatiquement;
- Si votre horaire n’est pas configuré, le système copiera les horaires inscrits dans votre formulaire d’absence.

- Sélectionnez votre spécialité et, si désiré, choisissez la clientèle de remplacement dans le menu déroulant;
- Si nécessaire, joignez une planification en cliquant sur Sélectionner et/ou indiquez où la trouver dans le champ Où trouver la planification;
- Si l'horaire n'est pas généré automatiquement, vous pouvez inscrire les périodes libres ou de surveillance dans les champs Période(s) libre(s) et Période(s) de surveillance;
- Nous vous conseillons d'ajoutez des commentaires pour le remplaçant dans le champ Commentaire;
- Vous pouvez également écrire une note interne pour la direction, masquée aux remplaçants dans le champ Note interne;
- Une fois toutes les informations complétées, cliquez sur Soumettre.


Pour consulter l’état de vos demandes de remplacement, accédez au module Remplacements. Vous pourrez voir si votre demande est en attente d’un remplaçant ou si un remplaçant l’a accepté.

Pour voir comment remplir une demande de remplacement en détail, vous pouvez consulter cette vidéo explicative: Vidéo: Employé - Comment remplir une demande de remplacement ?
Faire une demande d'absence sans remplacement |
Si le paramétrage de l'établissement où vous travailler le permet, voici comment effectuer une demande d'absence qui ne nécessite pas de remplacement :
- Accédez au module Absences et cliquez sur Nouvelle absence;
- Remplissez le formulaire et cliquez sur Continuer pour accéder à la section de demande de remplacement;
- Activez l'interrupteur Pas besoin d’être remplacé et cliquez sur Soumettre.


Votre demande sera visible dans le module Absence avec cette icône
pour indiquer qu’elle ne requiert pas de remplacement.

Pour voir en détail comment remplir une demande de remplacement, vous pouvez visionner cette vidéo :
Vidéo: Employé - Comment faire une déclaration d'absence sans demande de remplacement ?
Cet article a-t-il été utile ?
C'est super !
Merci pour votre commentaire
Désolé ! Nous n'avons pas pu vous être utile
Merci pour votre commentaire
Commentaires envoyés
Nous apprécions vos efforts et nous allons corriger l'article

